-
Las redes sociales impulsan el auge de los tratamientos de testosterona en Reino Unido
-
El magnate Li Ka-shing y su imperio, bajo presión por la disputa global en Panamá
-
EEUU entra en una parálisis presupuestaria que se prevé breve
-
El atípico y polémico documental de Melania Trump llega a los cines
-
Tribunal español ordena a monjas, por segunda vez, desalojar convento
-
Misión espacial explorará meditación y efectos de microgravedad en los ojos
-
Israel anuncia la reapertura limitada del paso de Rafah desde el domingo
-
Bruce Springsteen interpreta canción contra policía migratoria en Mineápolis
-
Pedro Sánchez responde a Elon Musk en defensa de plan para regularizar migrantes en España
-
El Departamento de Justicia de EEUU publica más tres millones de páginas de archivos de Epstein
-
Trump dice que Irán "quiere llegar a un acuerdo" para evitar ataque de EEUU
-
Muere Catherine O'Hara, la estrella de la teleserie "Schitt's Creek"
-
Fela Kuti será el primer africano en recibir un Grammy a su trayectoria
-
La danesa Maersk operará puertos en el canal de Panamá tras la anulación del contrato a la hongkonesa Hutchison
-
Más de 6.000 migrantes fueron rescatados en el Canal de la Mancha en 2025
-
El español Albert Riera, sorpresivo nuevo DT del Eintracht Frankfurt
-
La economía de México registra en 2025 su peor desempeño desde la pandemia
-
La presidenta de Venezuela aborda la cooperación energética con India en una llamada con el primer ministro
-
Voto de confianza: costarricenses custodian las boletas electorales en casa
-
Trump anuncia una carrera de IndyCar en Washington en agosto por el 250º aniversario de EEUU
-
La aerolínea portuguesa TAP anuncia una reanundación de las operaciones en Venezuela
-
Guterres advierte del riesgo de "colapso financiero inminente" de la ONU
-
La justicia de EEUU descarta la pena de muerte contra el acusado de matar a un alto ejecutivo de seguros médicos
-
Condenado a 29 años de cárcel un solicitante de asilo que asesinó a una mujer en Reino Unido
-
La principal refinería petrolera de Ecuador sufre su segundo incendio en ocho meses
-
El Departamento de Justicia de EEUU publicará este viernes más de 3 millones de páginas de archivos de Epstein
-
Ucrania ordena evacuar a familias con niños de siete aldeas del noreste del país
-
El grupo azucarero francés Tereos vende una planta en Brasil para reforzar su competitividad
-
Trump nomina al exgobernador de la Fed Kevin Warsh para ser próximo presidente del banco central
-
La OMC dio la razón a China en la disputa con EEUU por los subsidios a las energías renovables
-
La AIEA se reúne preocupada por la seguridad nuclear en Ucrania
-
El incombustible Djokovic y Alcaraz se disputarán el título en Australia
-
EEUU improvisa un programa de control de las finanzas venezolanas que suscita interrogantes
-
Colombia reanuda los vuelos de deportación desde EEUU antes del encuentro Petro-Trump
-
El partido promilitar de Birmania logra una victoria sin oposición en las legislativas
-
El fiscal general de EEUU ordena la detención de un periodista que interrumpió una misa en Mineápolis
-
Reino Unido insiste en reforzar sus lazos con China pese a la advertencia de Trump
-
El Real Madrid se reencontrará con el Benfica de Mourinho en el playoff de la Champions
-
El desempleo en la zona euro baja ligeramente en diciembre
-
Qué se sabe de la concesión anulada a la hongkonesa CK Hutchison en el canal de Panamá
-
Trump dice que retirará la certificación a aviones canadienses, incluidos los Bombardier
-
Trump demanda a la agencia tributaria de EEUU por la filtración de su declaración de impuestos
-
La gigante brasileña Nubank recibe la aprobación inicial para operar como banco en EEUU
-
Esperan una nueva tormenta invernal en EEUU tras las intensas nevadas
-
Arrestan a un hombre que se hizo pasar por un agente del FBI para liberar a Luigi Mangione
-
Panamá negocia con Maersk la operación de puertos del canal tras anular el contrato a una firma hongkonesa
-
Un adolescente muere por el ataque de un tiburón en el noreste de Brasil
-
El beneficio trimestral de Apple se dispara gracias a las ventas de iPhone en China
-
Fiscal general de EEUU ordena detención de periodista que interrumpió una misa en Mineápolis
-
Largas filas para cargar gasolina en Cuba, que acusa a Trump de "asfixiar" su economía
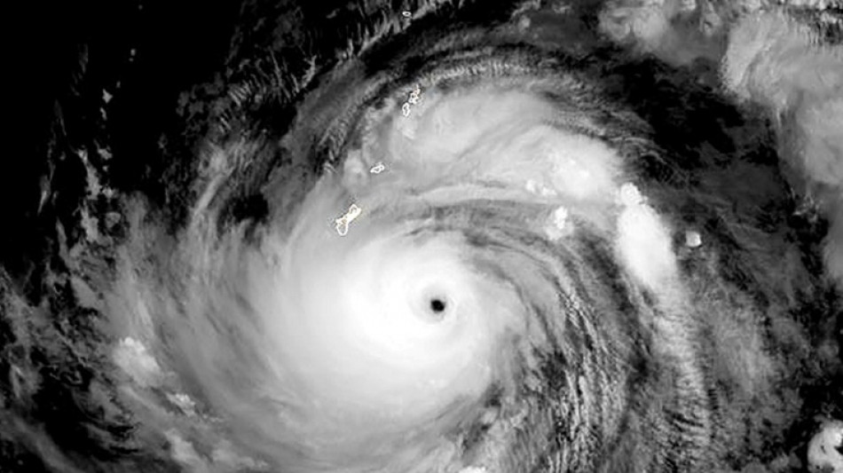
La isla estadounidense de Guam se prepara para el impacto del supertifón Mawar
El supertifón Mawar, con vientos potencialmente catastróficos, se dirige directamente a la isla de Guam, territorio de Estados Unidos situado en el Pacífico y puesto militar de crucial importancia.
Según un informe del Servicio Meteorológico Nacional (NWS, por sus siglas en inglés), Mawar se estaba intensificando hasta convertirse en un supertifón de categoría cinco, con vientos máximos sostenidos de 255 kilómetros por hora.
"Estoy preocupado por la seguridad de nuestra gente. Es la primera tormenta de esta magnitud en 20 años", dijo el gobernador Lou Leon Guerrero.
En su trayectoria actual, Mawar pasará directamente sobre la isla de 170.000 habitantes, desatando lluvias torrenciales e inundaciones extremas. "Se prevé que Mawar se intensifique a lo largo de la noche", dijo el NWS.
A las 04H00 locales del miércoles (18H00 GMT del martes), la tormenta estaba 135 kilómetros al sureste de Guam, con vientos máximos sostenidos de 155 km/h, dijo la oficina del NWS en Guam en una advertencia.
"El paso muy cerca o directamente sobre Guam es inminente", dijo el meteorólogo.
"La triple amenaza del supertifón Mawar son las lluvias torrenciales que pueden provocar deslizamientos de tierra e inundaciones repentinas, vientos catastróficos e inundaciones costeras potencialmente letales", dijo.
Los vientos podrían alcanzar ráfagas de hasta 320 km/h, provocando daños importantes en edificios y casas hechos de materiales livianos.
En las costas, los grandes barcos "podrían ser arrancados de las amarras".
Las autoridades ordenaron la evacuación de las zonas costeras bajas, especialmente en las aldeas del sur propensas a inundaciones, y pidieron a todos que "se refugien inmediatamente" ante los vientos destructivos que se esperan para el miércoles por la mañana.
Unos 21.700 militares estadounidenses y sus familias tienen su base en o cerca de varias instalaciones de Guam, que habitualmente alberga submarinos nucleares de ataque, bombarderos de largo alcance y puestos de escucha electrónica.
Las bases estadounidenses también alojan algunas de las instalaciones de almacenamiento de municiones y combustible más importantes de la región del Pacífico.
Según las previsiones, las precipitaciones podrían provocar deslizamientos de tierra en el centro y el sur de la isla, advirtió el servicio meteorológico.
El presidente de Estados Unidos, Joe Biden, declaró el martes el estado de emergencia para Guam, para que se pueda proporcionar ayuda federal a la isla, según un comunicado de la Casa Blanca.
Alrededor de 60 vuelos hacia y desde Guam programados entre el martes y el jueves fueron cancelados, según el Aeropuerto Internacional A.B. Won Pat.
Se prevé que las condiciones mejoren el jueves.
A.Ruiz--AT